Melissa Kasırgası'nın neden olduğu sel sonucu Haiti'de 25 kişi öldü
Melissa Kasırgası'nın neden olduğu sel sonucu Haiti'de 25 kişi öldü
Haiti'nin güneyinde, Melissa Kasırgası'nın neden olduğu sel sonucu nehrin taşması sebebiyle 25 kişi yaşamını yitirdi.
SANTIAGO DE CUBA (AA) - Haiti'nin güneyindeki kıyı kasabası Petit-Goave'nin Belediye Başkanı Jean Bertrand Subreme, La Digue Nehri'nin taşması ve çevredeki evleri su basması sonucu 25 kişinin öldüğünü bildirdi.
Çarşamba sabahı itibarıyla onlarca evin yıkıldığını ve insanların halen enkaz altında mahsur kaldığını belirten Subreme, hükümete insanların kurtarılması için yardım çağrısı yaptı.Kasırganın etkili olduğu diğer bir ülke Jamaika'da da yaklaşık 25 bin kişi sığınaklara tahliye edildi.
Jamaika Eğitim Bakanı Dana Morris Dixon, Ada'nın yüzde 77'sinde elektrik kesintisi olduğunu ancak su sistemlerinin kasırgadan büyük ölçüde etkilenmediğini söyledi.
Hükümet yetkilisi Fitz-Henley, bir yerel radyo istasyonuna verdiği demeçte, ülkenin batısında bir ağacın bebeğin üzerine düşmesi sonucu en az bir kişinin öldüğünü aktardı.
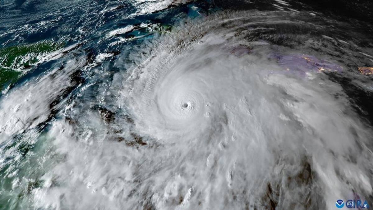
Hızı saatte 295 kilometreye kadar çıkan ve şiddetinin, en tehlikeli seviye anlamına gelen "5. Kategori"ye yükseldiği belirtilen Melissa Kasırgası, Haiti, Jamaika ve Küba’da etkili olmaya devam ediyor.
Şiddetli yağış, fırtına ve sel baskınlarına neden olan kasırga nedeniyle Küba Devlet Başkanı Miguel Diaz Canel, ülkede 735 binden fazla kişinin tahliye edildiğini bildirmişti.
ABD, Karayipler'e yardım ekibi gönderdiAssociated Press'e (AP) adlarını vermeden konuşan ABD Dışişleri Bakanlığı yetkilileri, Atlantik üzerinde oluşan ve Karayipler'de etkisini gösteren Melissa Kasırgası'na ilişkin açıklamada bulundu.
Yetkililer, kasırganın yol açtığı yıkımla mücadele kapsamında Karayip ülkelerine arama kurtarma ekipleri de dahil olmak üzere afet yardım görevlilerinin gönderildiğini ifade etti.
Yardım ekiplerinin bölgeye doğru yola çıktığını belirten yetkililer, 24 ila 48 saat içinde Jamaika, Bahamalar ve Dominik Cumhuriyeti'ne varmalarının beklendiğini kaydetti.
Muhabir: Irmak Akcan
Yorumunuz başarıyla alındı, inceleme ardından en kısa sürede yayına alınacaktır.
